

















Code: Select all
000
WTNT35 KNHC 190254
TCPAT5
BULLETIN
Hurricane Maria Advisory Number 12
NWS National Hurricane Center Miami FL AL152017
1100 PM AST Mon Sep 18 2017
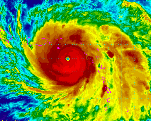
...EYE OF CATEGORY 5 HURRICANE MARIA MOVING OVER DOMINICA...
SUMMARY OF 1100 PM AST...0300 UTC...INFORMATION
-----------------------------------------------
LOCATION...15.5N 61.4W
ABOUT 0 MI...0 KM NW OF DOMINICA
ABOUT 270 MI...435 KM SE OF ST. CROIX
MAXIMUM SUSTAINED WINDS...160 MPH...260 KM/H
PRESENT MOVEMENT...WNW OR 300 DEGREES AT 9 MPH...15 KM/H
MINIMUM CENTRAL PRESSURE...924 MB...27.29 INCHES
WATCHES AND WARNINGS
--------------------
CHANGES WITH THIS ADVISORY:
None
SUMMARY OF WATCHES AND WARNINGS IN EFFECT:
A Hurricane Warning is in effect for...
* Guadeloupe
* Dominica
* St. Kitts, Nevis, and Montserrat
* U.S. Virgin Islands
* British Virgin Islands
* Puerto Rico, Culebra, and Vieques
A Tropical Storm Warning is in effect for...
* Antigua and Barbuda
* Saba and St. Eustatius
* St. Maarten
* Anguilla
* St. Lucia
* Martinique
A Hurricane Watch is in effect for...
* Saba and St. Eustatius
* St. Maarten
* St. Martin and St. Barthelemy
* Anguilla
* Isla Saona to Puerto Plata
A Tropical Storm Watch is in effect for...
* St. Vincent and the Grenadines
* West of Puerto Plata to the northern Dominican Republic-Haiti
border
A Hurricane Warning means that hurricane conditions are expected
somewhere within the warning area. Preparations to protect life and
property should be rushed to completion.
A Tropical Storm Warning means that tropical storm conditions are
expected somewhere within the warning area.
A Hurricane Watch means that hurricane conditions are possible
within the watch area. A watch is typically issued 48 hours
before the anticipated first occurrence of tropical-storm-force
winds, conditions that make outside preparations difficult or
dangerous.
A Tropical Storm Watch means that tropical storm conditions are
possible within the watch area, generally within 48 hours.
Interests elsewhere in Hispaniola, the southeastern Bahamas, and
the Turks and Caicos Islands should monitor the progress of Maria.
Additional watches and warnings may be required on Tuesday.
For storm information specific to your area in the United
States, including possible inland watches and warnings, please
monitor products issued by your local National Weather Service
forecast office. For storm information specific to your area
outside the United States, please monitor products issued by your
national meteorological service.
DISCUSSION AND 48-HOUR OUTLOOK
------------------------------
At 1100 PM AST (0300 UTC), the center of Hurricane Maria was located
near latitude 15.5 North, longitude 61.4 West. Maria is moving
toward the west-northwest near 9 mph (15 km/h), and this general
motion is expected to continue through Wednesday. On the forecast
track, the eye of Maria will move over the northeastern Caribbean
Sea on Tuesday and approach the Virgin Islands and Puerto Rico
Tuesday night and Wednesday.
Reports from an Air Force Reserve Hurricane Hunter aircraft
indicate that the maximum sustained winds are near 160 mph (260
km/h) with higher gusts. Maria is a category 5 hurricane on the
Saffir-Simpson Hurricane Wind Scale Some fluctuations in intensity
are likely during the next day or two, but Maria is forecast to
remain an extremely dangerous hurricane while it approaches the
Virgin Islands and Puerto Rico.
Hurricane-force winds extend outward up to 30 miles (45 km) from the
center and tropical-storm-force winds extend outward up to 125 miles
(205 km). Ham radio reports indicate significant damage to
structures has occurred in Dominica.
The minimum central pressure estimated from reconnaissance data is
924 mb (27.29 inches).
HAZARDS AFFECTING LAND
----------------------
WIND: Hurricane conditions should continue over Dominica during
the next few hours. Hurricane conditions should spread throughout
portions of the hurricane warning area in the Leeward Islands
tonight and early Tuesday. Hurricane conditions should spread
through the remainder of the Hurricane Warning area Tuesday
and Wednesday. Hurricane conditions are possible within the
Hurricane Watch area in the Dominican Republic late Wednesday, with
tropical storm conditions possible by early Wednesday. Tropical
storm conditions are possible in the tropical storm watch area in
St. Vincent and the Grenadines through tonight, and are possible in
the tropical storm watch area in the Dominican Republic on
Wednesday.
Wind speeds atop and on the windward sides of hills and mountains
could be much stronger than the near-surface winds indicated in this
advisory.
STORM SURGE: A dangerous storm surge accompanied by large and
destructive waves will raise water levels by as much as 7 to 11
feet above normal tide levels in the hurricane warning area near
where the center of Maria moves across the Leeward Islands and the
British Virgin Islands.
The combination of a dangerous storm surge and the tide will cause
normally dry areas near the coast to be flooded by rising waters
moving inland from the shoreline. The water is expected to reach
the following heights above ground if the peak surge occurs at the
time of high tide...
Puerto Rico and the U.S. Virgin Islands...6 to 9 ft
The deepest water will occur along the immediate coast near and to
the north and east of the landfall location, where the surge will be
accompanied by large and destructive waves. Surge-related
flooding depends on the relative timing of the surge and the tidal
cycle, and can vary greatly over short distances. For information
specific to your area, please see products issued by your local
National Weather Service forecast office.
RAINFALL: Maria is expected to produce the following rain
accumulations through Thursday:
Central and southern Leeward Islands...10 to 15 inches, isolated 20
inches.
U.S. and British Virgin Islands...10 to 15 inches, isolated 20
inches.
Puerto Rico...12 to 18 inches, isolated 25 inches.
Northern Leeward Islands from Barbuda to Anguilla...4 to 8 inches,
isolated 10 inches.
Windward Islands and Barbados...2 to 4 inches, isolated 6 inches.
Eastern Dominican Republic...4 to 8 inches, isolated 12 inches.
Rainfall on all of these islands could cause life-threatening flash
floods and mudslides.
SURF: Swells generated by Maria are affecting the Lesser Antilles.
These swells are likely to cause life-threatening surf and rip
current conditions. Please consult products from your local
weather office.
NEXT ADVISORY
-------------
Next intermediate advisory at 200 AM AST.
Next complete advisory at 500 AM AST.
$$
Forecaster Brown


