The NHC is going off degree of movement measured by aircraft recon. Hard to beat it. Are you looking at satellite, radar? Radar beam height & optical illusions can make it extra tricky.DoctorMu wrote: ↑Wed Aug 26, 2020 11:55 amweatherguy425 wrote: ↑Wed Aug 26, 2020 11:52 amTechnically, the turn has begun. WNW to NW between 1 & 4AM advisories. Still, some uncertainty with the very specifics as there always tends to be - like you mentioned.DoctorMu wrote: ↑Wed Aug 26, 2020 11:48 am
Thanks. Laura's CoC vector has not changed on average in the last 24 hours. She was on the right side of her projected path 24 hours ago, and now is in the middle. I'm not saying that Laura won't start turning to the NNW and eventually N (because she'll reach the western edge of the ridge), but empirically she has not yet.
I understand what the NHC has stated, and what is expected re: curvature and why. However, if you following the line of movement (see figure in that post) of the CoC over the last 24 hours it's rectilinear, not curvilinear.
August 2020:
-
weatherguy425
- Pro Met

- Posts: 830
- Joined: Wed Feb 03, 2010 7:45 pm
- Location: Atlanta, Georgia
- Contact:
-
JDsGN
- Posts: 170
- Joined: Tue May 23, 2017 10:25 pm
- Location: Cypress TX
- Contact:
Watching the GOES-East it appears to be making a pretty definitive push for a northwest movement as it should. It could be a wobble making it look a bit more dramatic but i do believe its gonna start its gradual northwest path to the border.
https://weather.msfc.nasa.gov/cgi-bin/b ... _drop=show
https://weather.msfc.nasa.gov/cgi-bin/b ... _drop=show
-
Snakeswx
- Posts: 39
- Joined: Tue Aug 25, 2020 6:54 pm
- Contact:
Looks like the ne quadrant is trying to fill in, or no. Trying to tighten the eye? Get a little more compact eye? Or no.
- DoctorMu
- Posts: 7644
- Joined: Sun Jun 28, 2015 11:58 am
- Location: College Station
- Contact:
EPS track (already posted, but below) has been corrected for parallax error due to curvature of the earth. They even use a straight line to demonstrate that wobbles did not knock Laura off path, which "corrected" after being north of the models early yesterday.weatherguy425 wrote: ↑Wed Aug 26, 2020 11:58 amThe NHC is going off degree of movement measured by aircraft recon. Hard to beat it. Are you looking at satellite, radar? Radar beam height & optical illusions can make it extra tricky.DoctorMu wrote: ↑Wed Aug 26, 2020 11:55 amweatherguy425 wrote: ↑Wed Aug 26, 2020 11:52 am
Technically, the turn has begun. WNW to NW between 1 & 4AM advisories. Still, some uncertainty with the very specifics as there always tends to be - like you mentioned.
I understand what the NHC has stated, and what is expected re: curvature and why. However, if you following the line of movement (see figure in that post) of the CoC over the last 24 hours it's rectilinear, not curvilinear.
- Attachments
-
- C9ACAA08-8FF7-471D-84E7-6E7E7B2161BF.png (228.63 KiB) Viewed 5932 times
-
weatherguy425
- Pro Met

- Posts: 830
- Joined: Wed Feb 03, 2010 7:45 pm
- Location: Atlanta, Georgia
- Contact:
The EPS wobble watch was an example. Degree of movement via recon supports northwest. West-northwest no longer. We’ll see when north-northwest kicks in, but technically, the early stages of the turn have begun.DoctorMu wrote: ↑Wed Aug 26, 2020 12:06 pmEPS track (already posted, but below) has been corrected for parallax error due to curvature of the earth. They even use a straight line to demonstrate that wobbles did not knock Laura off path, which "corrected" after being north of the models early yesterday.weatherguy425 wrote: ↑Wed Aug 26, 2020 11:58 amThe NHC is going off degree of movement measured by aircraft recon. Hard to beat it. Are you looking at satellite, radar? Radar beam height & optical illusions can make it extra tricky.
-
rselby0654
- Posts: 41
- Joined: Sun Aug 26, 2012 8:53 pm
- Contact:
Still not out of the woods yet. If it continued its current path it would directly hit Galveston. It will have to start to turn NNW to N in order to make landfall where it’s currently forecasted to. The next several hours will tell us a lot more. We just have to wait and watch.DoctorMu wrote: ↑Wed Aug 26, 2020 12:06 pmEPS track (already posted, but below) has been corrected for parallax error due to curvature of the earth. They even use a straight line to demonstrate that wobbles did not knock Laura off path, which "corrected" after being north of the models early yesterday.weatherguy425 wrote: ↑Wed Aug 26, 2020 11:58 amThe NHC is going off degree of movement measured by aircraft recon. Hard to beat it. Are you looking at satellite, radar? Radar beam height & optical illusions can make it extra tricky.
- jasons2k
- Posts: 6060
- Joined: Thu Feb 04, 2010 12:54 pm
- Location: Imperial Oaks
- Contact:
Watching closely the strength of the trough over West Texas versus the ridge itself. Laura's interaction with the trough over the next few hours is the key to if any changes will occur at this point.rselby0654 wrote: ↑Wed Aug 26, 2020 11:32 am We definitely need to watch this closely because around this time is when Rita totally went off of the forecast. At this point I don’t see a real turn yet. Does anyone have anything that indicates the ridge may be stronger than expected?
- snowman65
- Posts: 1385
- Joined: Thu Feb 04, 2010 6:39 am
- Location: Orange, Tx
- Contact:
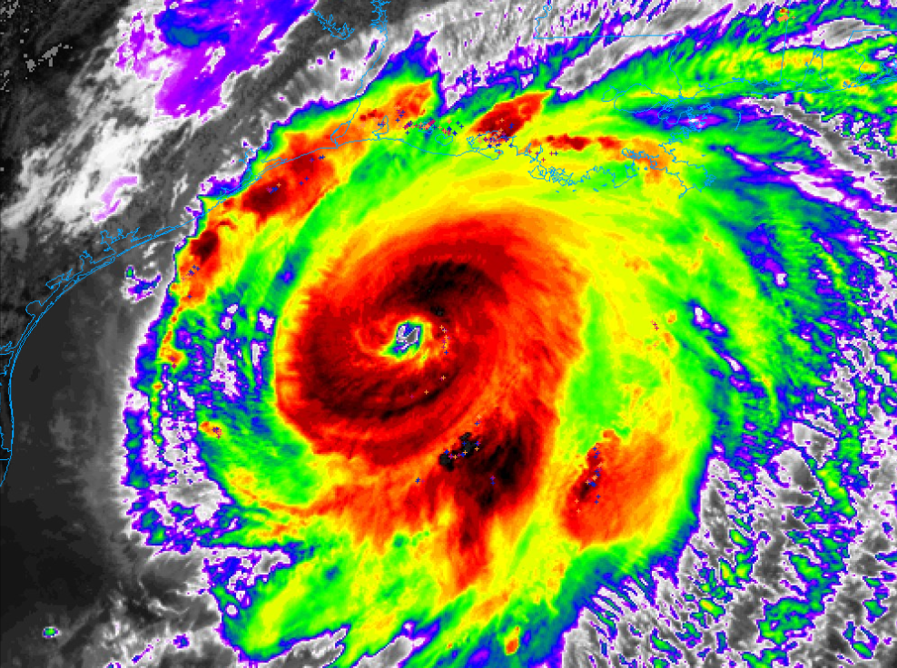
anyone see Cat 5 coming?
-
Cromagnum
- Posts: 3021
- Joined: Thu Feb 03, 2011 10:42 pm
- Location: Georgetown
- Contact:
Huge blow up NW of the center
-
Pas_Bon
- Posts: 921
- Joined: Tue Sep 11, 2018 7:58 am
- Location: League City, TX
- Contact:
- Katdaddy
- Global Moderator

- Posts: 2521
- Joined: Thu Feb 04, 2010 8:18 am
- Location: League City, Tx
- Contact:
If Laura was still moving more W than N at 6PM I would have much concern. Thankfully Laura is in range of radar and we what the movement of the eye which almost looks NNW toward Sabine Pass
- tireman4
- Global Moderator

- Posts: 6766
- Joined: Wed Feb 03, 2010 9:24 pm
- Location: Humble, Texas
- Contact:
Anxiously waiting for that North turn old friend.Katdaddy wrote: ↑Wed Aug 26, 2020 12:30 pmIf Laura was still moving more W than N at 6PM I would have much concern. Thankfully Laura is in range of radar and we what the movement of the eye which almost looks NNW toward Sabine Pass
-
mcheer23
- Global Moderator

- Posts: 596
- Joined: Fri Jan 11, 2013 11:15 am
- Location: Missouri City/ Sugar Land
- Contact:
NWS Lake Charles has been evacuated. NWS Brownsville is covering for them.
-
biggerbyte
- Posts: 1421
- Joined: Thu Feb 04, 2010 12:15 am
- Location: Porter, Texas. (Montgomery County)
- Contact:
According to radar returns Laura is still very much wobbling. She will travel wnw for a bit, and then nw. At the moment I'm seeing another wnw movement. If this storm does not make that turn soon to remove most of any westerly component areas between Galveston and the border need to pay close attention, as does all of us that might receive any effects from Laura.
Last edited by biggerbyte on Wed Aug 26, 2020 1:00 pm, edited 1 time in total.
- srainhoutx
- Site Admin

- Posts: 19699
- Joined: Tue Feb 02, 2010 2:32 pm
- Location: Maggie Valley, NC
- Contact:
Code: Select all
BULLETIN
Hurricane Laura Intermediate Advisory Number 27A
NWS National Hurricane Center Miami FL AL132020
100 PM CDT Wed Aug 26 2020
...AIR FORCE HURRICANE HUNTER AIRCRAFT REPORTS LAURA HAS BECOME AN
EXTREMELY DANGEROUS CATEGORY 4 HURRICANE...
...CATASTROPHIC STORM SURGE, EXTREME WINDS, AND FLASH FLOODING
EXPECTED ALONG THE NORTHWEST GULF COAST TONIGHT...
...LITTLE TIME REMAINS TO PROTECT LIFE AND PROPERTY...
SUMMARY OF 100 PM CDT...1800 UTC...INFORMATION
----------------------------------------------
LOCATION...27.3N 92.5W
ABOUT 200 MI...320 KM SSE OF LAKE CHARLES LOUISIANA
ABOUT 200 MI...320 KM SSE OF PORT ARTHUR TEXAS
MAXIMUM SUSTAINED WINDS...140 MPH...220 KM/H
PRESENT MOVEMENT...NW OR 315 DEGREES AT 16 MPH...26 KM/H
MINIMUM CENTRAL PRESSURE...952 MB...28.11 INCHES
Carla/Alicia/Jerry(In The Eye)/Michelle/Charley/Ivan/Dennis/Katrina/Rita/Wilma/Humberto/Ike/Harvey
Member: National Weather Association
Facebook.com/Weather Infinity
Twitter @WeatherInfinity
Member: National Weather Association
Facebook.com/Weather Infinity
Twitter @WeatherInfinity
- srainhoutx
- Site Admin

- Posts: 19699
- Joined: Tue Feb 02, 2010 2:32 pm
- Location: Maggie Valley, NC
- Contact:
Squalls and Tornado threat increases along South/South West Louisiana.
- Attachments
-
- mcd1579.gif (11.4 KiB) Viewed 5647 times
Carla/Alicia/Jerry(In The Eye)/Michelle/Charley/Ivan/Dennis/Katrina/Rita/Wilma/Humberto/Ike/Harvey
Member: National Weather Association
Facebook.com/Weather Infinity
Twitter @WeatherInfinity
Member: National Weather Association
Facebook.com/Weather Infinity
Twitter @WeatherInfinity
-
rselby0654
- Posts: 41
- Joined: Sun Aug 26, 2012 8:53 pm
- Contact:
You’re absolutely right! I saw the same thing. In fact it almost looks like Laura is moving to the West for a few frames!biggerbyte wrote: ↑Wed Aug 26, 2020 12:57 pm According to radar returns Laura is still very much wobbling. She will travel wnw for a bit, and then nw. At the moment I'm seeing another wnw movement. If this storm does not make that turn soon to remove most of any westerly component areas between Galveston and the border need to pay close attention, as does all of us that might receive any effects from Laura.
- DoctorMu
- Posts: 7644
- Joined: Sun Jun 28, 2015 11:58 am
- Location: College Station
- Contact:
-
- Information
-
Who is online
Users browsing this forum: Bing [Bot], don, Texas Deadhead, TexasBreeze, TxLady and 48 guests